Your help is appreciated. We depend on donations to help keep this site free and up to date for you. Can you please help us?

Donate

Native Plant Trust: Go Botany Discover thousands of New England plants

Questions and Answers: 2017

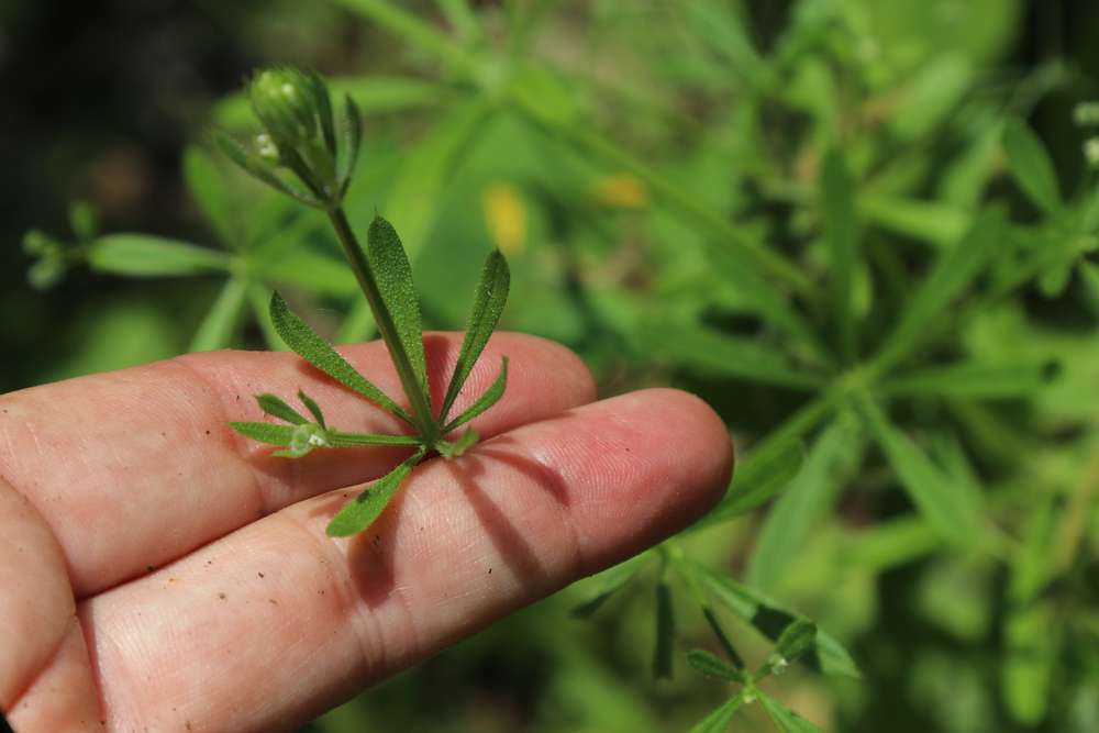
Question: I know this is a bedstraw. Wondering if it is rough bedstraw. Found towards the bottom of a slope near …

  • Question

    I know this is a bedstraw. Wondering if it is rough bedstraw. Found towards the bottom of a slope near wetlands and a stream in Wayland. Thanks

    Answer

    Dear Sheila, good morning. You have photographed Galium aparine (scratch bedstraw), a native species of bedstraw that occurs in a variety of habitats. The narrow leaves in whorls of 8 (usually, sometimes only 6 per whorl) and very scabrous stems and leaves mark this species.